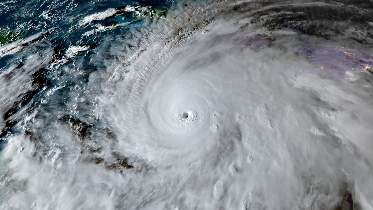
El huracán Melissa, de categoría 5, ya golpea Jamaica con vientos de hasta 300 km/h, los más fuertes jamás registrados en la isla caribeña. Ante esta situación, las autoridades han cerrado los principales aeropuertos y activado protocolos de emergencia.
Cierran aeropuertos en Jamaica por el huracán Melissa
Huracán Melissa impacta Jamaica con vientos de hasta 300 km/h: se cierran aeropuertos y puntos turísticos. Qué deben hacer agencias, hoteles y turoperadores.
El huracán Melissa llegó a Jamaica: aeropuertos y actividades cerradas. Cuba, en alerta máxima.
El impacto al turismo y a la cadena de servicios vinculada se anticipa relevante.
Cierre de aeropuertos y alerta máxima en Jamaica
Visit Jamaica informó que el Aeropuerto Internacional Norman Manley fue cerrado el 25 de octubre y el Aeropuerto Internacional Sangster el 26. Además, el gobierno jamaicano activó el Centro de Operaciones de Emergencia del Turismo (TEOC) el 24 de octubre, en coordinación con otras agencias de gestión de desastres.
Tras el arribo del huracán a tierra, los aeropuertos continúan cerrados en Jamaica, al igual que otros puntos turísticos. La alerta máxima se extiende a Cuba, ya que se prevé que el fenómeno meteorológico azote al país en la madrugada del miércoles 29, en la ciudad de Santiago de Cuba.
El turismo, ante el desafío del huracán Melissa
Las autoridades turísticas de Jamaica instaron a los actores del sector a mantener una comunicación constante con sus socios y clientes ante la evolución del huracán Melissa. En primer lugar, se recomienda confirmar con aerolíneas y alojamientos los horarios y eventuales reprogramaciones antes de la salida de los pasajeros, dado que los aeropuertos permanecerán cerrados hasta nuevo aviso.
Las agencias y operadores deben activar sus planes de contingencia para los viajeros que ya se encuentran en destino, asegurando que cuenten con información actualizada, vías de contacto de emergencia y asistencia inmediata en caso de necesidad.
Asimismo, se sugiere informar a los clientes sobre las políticas de extensión de estadía o reubicación en otros establecimientos, ya que muchas propiedades han implementado tarifas especiales para facilitar la permanencia segura de los turistas durante el paso del fenómeno.
En paralelo, resulta clave revisar las coberturas de asistencia al viajero, tanto para reembolsos como para asistencia médica o logística derivada de la emergencia.
Temas relacionados

